NPOマーケット
全国
北海道
青森県
岩手県
宮城県
秋田県
山形県
福島県
茨城県
栃木県
群馬県
埼玉県
千葉県
東京都
神奈川県
新潟県
富山県
石川県
福井県
山梨県
長野県
岐阜県
静岡県
愛知県
三重県
滋賀県
京都府
大阪府
兵庫県
奈良県
和歌山県
鳥取県
島根県
岡山県
広島県
山口県
徳島県
香川県
愛媛県
高知県
福岡県
佐賀県
長崎県
熊本県
大分県
宮崎県
鹿児島県
沖縄県
全市区町村
全国
福知山
google
NPO会員登録(無料)
様
物件情報一覧
物件登録・管理
ヘルプ
ログイン
物件情報
登録番号
0000001735
更新日
2025/11/22
売買貸借区分
売りたい
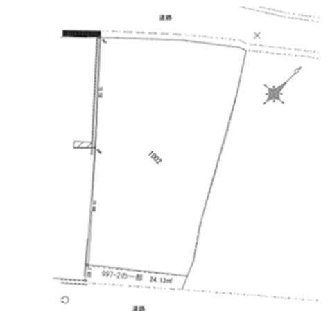
所在地
京都府 福知山市 今安1002
車・徒歩
京都交通バス・今安バス停から徒歩約3分
小学校区
修斉小学校
物件名
今安 売土地@
売買価格または賃貸価格
12,100,000円
物件種別
土地
土地面積
401u(121.3坪)
土地権利
所有権
都市計画
市街化調整区域
建ぺい率/容積率
60%・200%
用途地域
無指定
土地地目
宅地
現況
古家あり(売主にて建物解体)
接道状況/道路幅/間口
南側に国道429号線、北側に市道
取引態様
仲介
建築条件
条件付き(※応相談・ご連絡ください)
土地備考
境界確定及び実測済
物件内容
上下水道引込あり
 
 
登録者名
福知山ハウジング
連絡先
京都府福知山市広峯町22番地 ニコニコプラザ2階
TEL 0773-25-4111
FAX 0773-23-4181
問い合わせ
お名前
連絡先
メールアドレス
問い合わせ内容
コメント
一覧へ戻る